In the outskirts of Puerto Baquerizo Moreno is a beach called La Loberia. We decide not to go on any trips today and just have a relaxing day at the beach with possible a bit of snorkeling. It is a bit of a walk to the beach which is fairly isolated from the town on the other side of the airport. So we decide to catch a taxi out to the beach to avoid the 3 kilometer walk in the sun out there.

We get to the beach and only a few other people have made it here – it seem like it is the final frontier of tourism in this town. The beach is fairly sheltered with some reef outside making the waves break. So the surfers will have to go further out and we can stay in the small lagoon and see what might be around.




This is Galapagos so the visitors to the beach aren’t limited to humans – naturally there are a few sea lions sleeping in the shade of a small bush. And there are some marine iguanas as well – just to make us feel like we are in a special zoo.


It is nice to spot the animals on land – but we are at a beach so naturally it is all about what is out in the water. Fortunately the water in the lagoons is fairly calm so it should be good for snorkeling. And the sun does heat up the shallow water a bit making it less cold than normally around these islands – though the wetsuit helps a lot as well. I wouldn’t go snorkeling in these waters without the wetsuit.



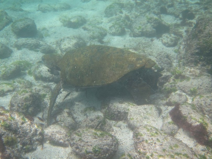
Unfortunately the waves in the distance do stir up a lot of silts in the water which also reach the lagoon so the visibility isn’t as good as you could hope for. But it is easy to spot some colourful fish and soon a turtle show up. At first it is resting on the bottom but soon it start moving a bit.

The turtle go up for air and then swims slowly around with me following it for a while enjoying the large turtle moving slowly around. The turtle speed is more my speed than the sea lions I was snorkeling with yesterday. I have no problem following the turtle around in the shallow waters and it doesn’t seem to mind. After a while we let the turtle get some peace and go back to the beach.

Turtle head 
Turtle going up for air 
Turtle swimming closeby at La Loberia